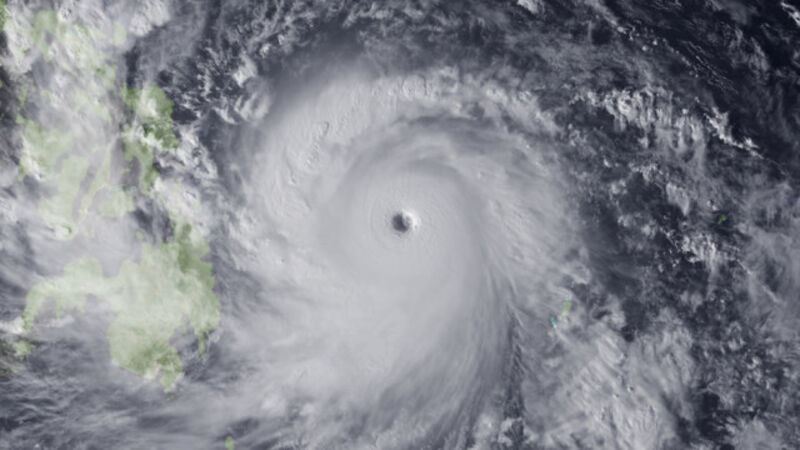
The monstrous storm seen in this new satellite image is the biggest of the year and one of the most powerful tropical cyclones of all time. "Super typhoon" Haiyan is currently thrashing the entirety of the Philippines with sustained winds of 190 mph and gusts up to 230 mph, and then it's headed for Vietnam. It's such a wildly dangerous storm that it's even terrifying the weather forecasters.
This storm has at all: heavy rains, plenty of lightning, tremendous winds, and a deadly storm surge. If there's a little island here or there that doesn't get the flooding from the rain, it will get it from the storm surge, and whatever's not under the floodwaters will be whipped to hell by the winds.
Dr. Jeff Masters, the popular meteorologist who blogs at Weather Underground, is especially shaken by the satellite loops of this nightmare storm.
"Haiyan has the most spectacular appearance I've ever seen on satellite loops, with a prominent eye surrounded by a huge, impenetrable-looking mass of intense eyewall thunderstorms with tops that reach into the lower stratosphere," Masters wrote today. "With landfall expected to occur by 21 UTC (4 pm EST) on Thursday, Haiyan doesn't have time to weaken much before landfall, and will likely hit the Philippines at Category 5 strength."
Well, that looks unpleasant. And so does this:
It's the world's fourth Category 5 beast this year alone, and the fourth typhoon in the West Pacific this year.
[Images via NOAA and Getty.]
